Działka rolna 1400 m², Stargard
Zapraszam do oferty działki znajdującej się na ulicy Na Grobli w Stargardzie.
Urocze miejsce z dala od zgiełku miasta....
JEDNOCZEŚNIE - odległość do centrum Stargardu to tyko 3 min jazdy samochodem.
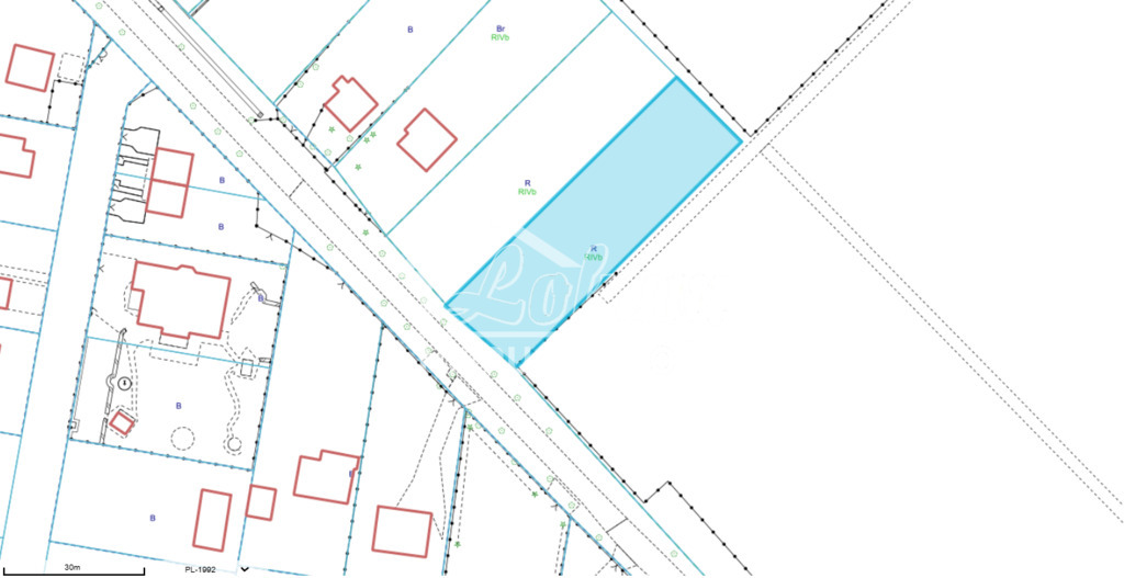
Na działkę wydane zostały warunki zabudowy pod budownictwo jednorodzinne.
Przez część działki przechodzi linia energetyczna niskiego napięcia.
ATUTY DZIAŁKI:
dojazd drogą utwardzoną - asfaltową powierzchnia 1400mkw kształt działki prostokątny, na płaskim, równym terenie wokół zabudowa jednorodzinna oraz rodzinne ogródki działkowe
MEDIA:
- wszystkie główne sieci usytuowane przy działce i w drogach głównych:
sieć energetycznasieć wodociągowasieć kanalizacyjnasieć gazowa
LOKALIZACJA:
- dojazd drogą asfaltową
- graniczy z rodzinnymi ogródkami działkowymi
- dostęp do komunikacji miejskiej - Autobus MPK STARGARD
Zapraszam do kontaktu oraz prezentację miejsca.
- powierzchnia: 1400 m2
- powierzchnia działki: 1400 m2
- dojazd: asfaltowy
- numer oferty: 56/11683/OGS
- data ostatniej aktualizacji: 26 Styczeń 2026
Dane kontaktowe

LOKUM NIERUCHOMOŚCI
al. Wyzwolenia 4A/170-553 Szczecin
tel: +48 91 812 30 88
tel: +48 886 169 788
LOKUM NIERUCHOMOSCI
tel: +48 91 812 30 88
tel: +48 662 220 876
Osoba do kontaktu: LOKUM NIERUCHOMOSCI
Instrukcje kontaktowe: LOKUM NIERUCHOMOSCI telefoniczny/ osobisty / mail




















